Hickox Alley
The Evolution of a Nineteenth Century Downtown Byway

The earliest origins of Hickox Alley are more the stuff of legend than fact. According to nineteenth-century local historians, "Uncle" Abram Hickox (also spelled "Heacox"), Cleveland's first blacksmith, migrated here from Connecticut in 1809. After Euclid Street was laid out in 1815, Hickox moved his shop--which formerly sat at the corner of Superior and Bank (West 6th)--to the future Millionaires' Row, perhaps simply to be closer to his house on nearby Prospect Street. Every day thereafter, Uncle Abram, well-known to early Clevelanders for his untiring work ethic, walked to and from his shop along a little path that stretched between the two streets.
When exactly Hickox Alley (today, East 3rd Street between Euclid and Prospect Avenues) first came into existence, originally as a walkway between Abram Hickox's blacksmith shop and his home, is unclear. Hickox purchased the original two-acre lots upon which his place of business, his house, and the walkway were located during the period 1810-1815—about the same time that Euclid Street (later renamed Euclid Avenue) was being laid out. There is no known extant map, or other documentary evidence, substantiating the walkway's existence or its particular configuration in this era. By the time Cleveland's first directory was published in 1837, 72-year-old Abram Hickox had sold off the northern part of his land fronting Euclid Street—where his blacksmith shop had once sat, and was listed in that year as living at 27 Prospect Street, employed as the village sexton.
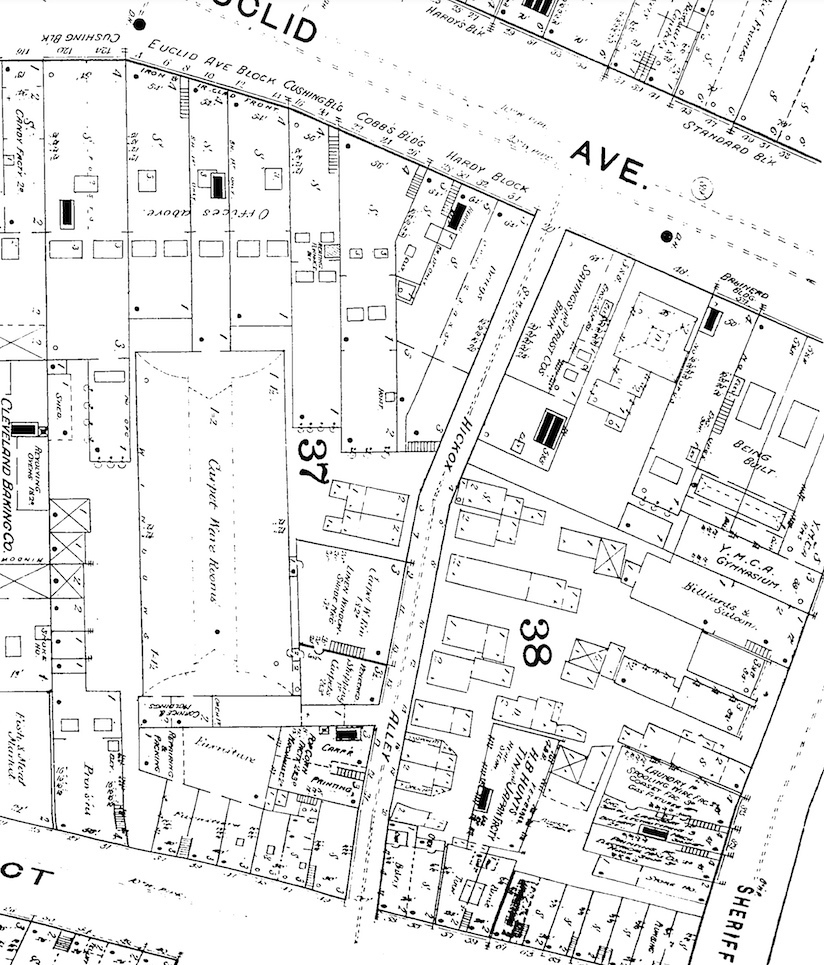
During the years 1837-1838, after he had conveyed his land on Euclid Street, Hickox, along with others, petitioned Cleveland council to designate the walking path between Euclid and Prospect a village street. The council responded in 1838 by adopting an ordinance "which established an Alley from Euclid Street to Prospect Street entitled Hickox Alley." The ordinance contained a legal description of the village's newest alley, including its width (one rod or 16.5 feet) and its peculiar circular area with a post in the middle, the only evidence of which left today is a bend in the alley approximately 150 feet south of Euclid Avenue.
Two years after Hickox Alley was thus officially established as a public byway in Cleveland, the First Wesleyan Methodist Church built a church on the same southwest corner where Abram Hickox's blacksmith shop had recently stood. The Wesleyan Church was notable as the first church built on Euclid Avenue, but also because its members had recently separated from the First Methodist Episcopal Church over the slavery issue then raging in America. The Wesleyans were staunch anti-slavery advocates. Apparently as a result of the new church's position on this important national issue, Hickox Alley, at least for several years thereafter, became known to many in the village as "Nigger Alley," and was expressly noted as such in Cuyahoga County tax records. For reasons unknown, the derogatory racist name for Hickox Alley was removed from county tax records after 1842.
New change came to Hickox Alley in the years following Abram Hickox' death in 1845. The probate of his estate lasted nearly two years, and it wasn't until 1847 that his remaining lands along the Alley—essentially the southern half between Euclid and Prospect—were disposed of by partition amongst his four daughters. Shortly after receiving their inheritance, all of the daughters sold their shares to developers, who, after acquiring some of Hickox's formerly owned lands along the alley, developed it into a residential street in the early 1850s. For the next thirty years, Hickox Alley appears to have been a vibrant working-class neighborhood street off of Euclid Avenue's early Millionaires' Row. It was home to Clevelanders—many of whom were of Irish or German immigrants—who worked as confectioners, carpenters, tanners, coopers, tailors, shoe makers and in other blue-collar trades. Sixteen houses sat on the alley and by 1880 when the population peaked, according to the federal census taken in that year, there were 62 working-class residents living on it.
While the population of Hickox Alley may have peaked in 1880, its future as a residential street had already become precarious at least ten years earlier, when lower Euclid Avenue began its transformation from a residential neighborhood to a commercial district. During the period 1870-1890, a first generation of four and five story commercial buildings went up on lower Euclid Avenue, many located near Hickox Alley, including the four-story Hardy Block (1875) on the west corner of the alley, and the five-story Savings and Trust Company bank building (1885) on its east corner. Hickox Alley's status as a downtown residential street became more precarious in the decade of the 1890s as Euclid Avenue underwent yet more change. Its first generation of commercial buildings, which had been erected primarily for office use, were now being converted to primarily retail use, a use which had warehousing needs. In that decade, many of the houses on Hickox Alley were replaced by warehouses and small factory shops. For example, the Cushing family which leased a building on Euclid Avenue to George H. Bowman Company, a purveyor of fine china and glassware, purchased additional land along the west side of the alley and, in 1890, erected a three-story warehouse there, taking down several houses on the alley in the process. Similarly, and also in 1890, Chandler and Rudd, an early downtown grocer, purchased land on the east side of the alley upon which it erected a warehouse, also eliminating houses in the process. Finally, also in 1890, a six-story tin factory was built on the west side of the Alley near Prospect Street, eliminating yet more residential structures there. As a result of the redevelopment of much of the alley primarily in this decade, by the time the twentieth century arrived, there were few residential houses left, and few people living, on Hickox Alley.
In 1904, new and different change came to Hickox Alley. A group of theatrical people purchased several of the remaining houses on the east side of the alley, razed them, and built in their place a quaint, English Inn–styled clubhouse, which became known as the Hermit Club. Because the Hermit Club quickly became associated with the popular theater district then located on nearby Sheriff (East 4th) Street, its erection sparked an interest in a different type of commercial development on the alley in the early twentieth century—clubs and restaurants. While traffic on the alley no doubt increased as a result of this development, it did not in any way stave off the decline of residential life there. In 1905, the last house there, which had been owned by the Samuel and Mary Eason family since 1864, was torn down to make room for an eight-story printing company office/warehouse building. With this most recent change, residential life on Hickox Alley, for all practical purposes, came to an end.
A final change came to Hickox Alley, which after 1905 became known as East 3rd Street—about the same time that the Hermit Club relocated to the new Playhouse Square theater district in 1928. Within several years, all of the other clubs and restaurants on the Alley closed and it became exclusively a place for the warehousing and other commercial needs of nearby retail businesses on Euclid and Prospect Avenues. In more recent decades, some of those long-standing retail businesses on Euclid and Prospect Avenues, and warehouses on the former Hickox Alley, have been converted to residential apartments and attendant parking garages as Cleveland's lower Euclid Avenue undergoes yet another transformative change in the early twenty-first century. Today, the sidewalks on each side of the alley which in the nineteenth century provided pedestrians access to houses there, and in the twentieth century to popular clubs and restaurants there, are gone, and East 3rd street, with its curious bend 150 feet south of Euclid Avenue which hides Prospect Avenue from direct view, is now a place which few pedestrians enter for any lawful purpose, and which is frequented mostly by the city's homeless and, occasionally, by nearby building employees who surreptitiously exit back doors along the alley in order to have a quiet smoke.
Images












