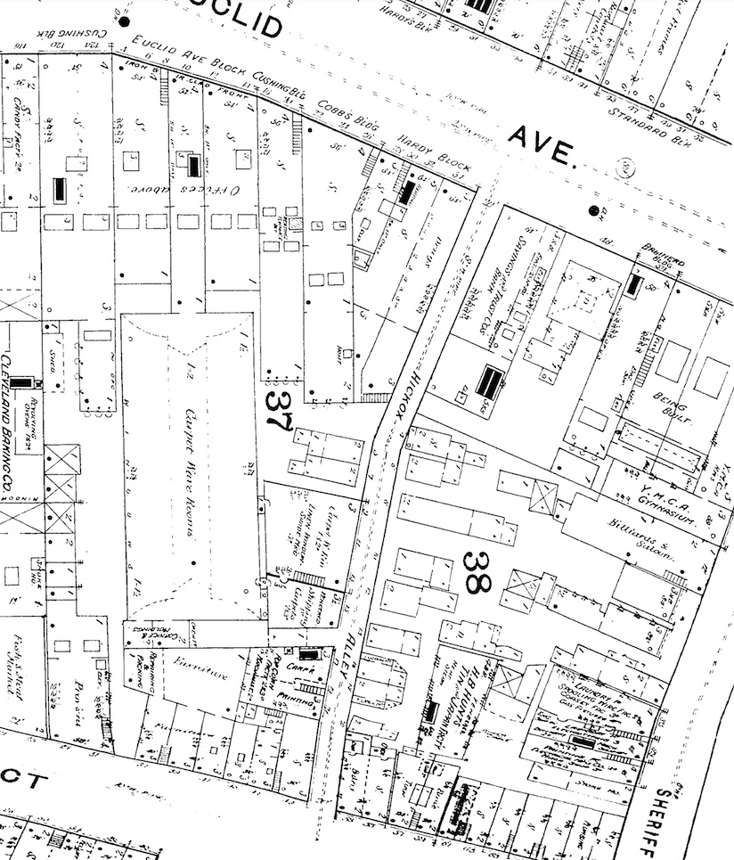
Hickox Alley in 1886

This section of the 1886 Sanborn Map of the Hickox Alley area shows the alley at perhaps the peak of its residential development. Note the houses (with addresses) on both sides of the alley between Euclid and Prospect Streets. The alley was home to a number of working class families who may have provided commercial services to Cleveland elites who were living ever farther east on one or the other of those two fashionable nineteenth century residential streets. | Source: Cleveland Public Library, Digital Map Collection
Download Original File