Filed Under Architecture

Union Trust Building

Built to Send a Message to the Banking World

It wasn't by accident that Union Trust Bank erected a building on the northeast corner of East Ninth Street and Euclid Avenue that, when completed in 1924, was reputedly the second or third largest office building in the world with the largest bank lobby in the world.

You might say that the mammoth Union Trust Building on the northeast corner of East Ninth Street and Euclid Avenue--which over the years has also been known as the Union Commerce Building, the Huntington Bank Building, the 925 Building and, since 2018, the Centennial--was built as the result of an Act of Congress. When Congress passed the Act of November 7, 1918, which created a simplified process for national and state bank mergers, it instituted an era of bank mergers in the United States that did not end until the Great Depression. In Cleveland, the Act produced two significant mergers in 1919--one between Union Commerce National Bank (founded in 1884 by Marcus A. Hanna) and Citizens Savings and Trust Co. (founded in 1868 by Jeptha H. Wade) and the other between First National Bank (founded in 1863 by George Worthington) and the more recently founded First Trust and Savings Co. Then, just one year later, came the announcement that these two pairs of merged financial institutions had decided to merge again, this time with each other. In December 1920, they formed the Union Trust Co., which immediately became the largest bank in Ohio, and one of the largest in the United States. And the first order of business for this new financial behemoth? It was to erect a suitably large and grand edifice on the northeast corner of East Ninth Street and Euclid Avenue for its banking needs.

Even before Union Trust Bank was formed in 1920, two of its component banks--Union Commerce National, whose offices were in the Union National Bank building on the corner of Euclid Avenue and East 3rd Street, and Citizens Savings and Trust, whose offices were in the Citizens Building next door to the Schofield Building--had turned their eyes in 1919 to the northeast corner of Euclid Avenue and East Ninth Street as the future site for their new bank building. Toward that end, in April 1920 they had purchased from the Lennox Company three large adjoining lots on or near that corner, including the lot upon which the historic Lennox Building sat. With the creation of Union Trust that same year, the scope of their anticipated building project on that corner simply increased in size. The following year, Union Trust selected the Chicago architectural firm of Graham, Anderson, Probst and White to design a building large enough and grand enough to meet the bank's present needs as well as its anticipated future growth. It was a good choice. Graham, Anderson, Probst and White, had ties to Daniel Burnham who two decades earlier had been the lead architect for Cleveland's Group Plan. The firm itself more recently had completed design work for the new Cleveland Hotel (today, the Renaissance Cleveland Hotel) on Public Square. And, in just a few short years it would begin designing Cleveland's most iconic building of all, the Terminal Tower.

The Union Trust Building was erected on the northeast corner of Euclid and East Ninth during the period 1922-1924. It displaced the Lennox Building, the Euclid Theater and a number of other smaller commercial buildings. Twenty-one stories tall (including the rooftop penthouse), the building has 146 feet of frontage on Euclid Avenue, 258 feet on East Ninth Street and 513 feet on Chester Avenue, and has more than one million square feet of office space. Its four-story L-shaped bank lobby--at the time the largest in the world-- is fifty feet wide and extends 224 feet parallel to East 9th Street and then 304 feet parallel to Chester Avenue. The lobby has Corinthian columns, vaulted ceilings, skylights, and murals by Jules Guerin, a famous twentieth-century artist noted for the murals he created for the Lincoln Memorial in Washington, D.C. The huge building transformed the intersection of East Ninth and Euclid Avenue, making it the center of the city's financial district and one of the more important commercial addresses in the United States. It opened to the public, during a week of gala events, in May 1924.

The building had other notable features when it opened, including a retail arcade on the first floor near Chester Avenue, a section of which became known as "Steamship Row," because of the travel agencies that located there and placed in their windows pictures of enticing overseas destinations. The penthouse became home to the Midday Club, a private men's club with a grand dining room and smaller meeting rooms for members. (After the Midday Club closed in 1990, the penthouse a few years later became home to Sammy's Metropolitan Ballroom and Restaurant.) Outside the penthouse on the roof of the building near East Ninth Street were two 125-foot towers between which was stretched an antenna wire. The towers and antenna were part of radio station WJAX which broadcast financial news from the 20th floor of the buildng. There was a legend that the roof was also designed for a dirigible docking station, but the rooftop plans prepared by Graham, Anderson, Probst and White show no such station planned for the building, and no contemporary news articles or other primary sources have been discovered that prove the existence of, or plans for, either the station itself or any accessory buildings on the rooftop.

The Union Trust Building at 925 Euclid Avenue quickly became one of the most desirable business locations in Cleveland. Among other prominent tenants, it was home to two of the city's largest and most recognizable law firms, Squires, Sanders and Dempsey, and Baker and Hostetler. Squires occupied the entire 18th floor of the building from 1924, when it opened, until 1992 when the firm left, taking its 400-plus employees to Key Tower. Another long-time tenant in the building was Rickey C. Tanno Jewelers, which moved into the Arcade in 1949 and was the last retail tenant to leave in late 2018. While these and other tenants occupied space in the building for decades, Union Trust Bank itself had a much shorter stay in the building. After operating there for less than ten years, it failed in 1933, during the Great Depression. Its collapse was reportedly fueled by a run on its deposits caused by the disclosure that bank officials with ties to the Van Sweringen real estate empire had lied about a $10 million sale of government bonds by Van Sweringen to the bank. Two Union Trust bank officials--Joseph R. Nutt, chairman of the board, and Wilbur Baldwin, its president--were indicted along with Oris P. Van Sweringen in Cuyahoga County Common Pleas Court for creating false bank records. While the state charges were eventually dismissed after the three were found innocent in a related federal court proceeding, Union Trust Bank never recovered. It underwent a liquidation process that lasted for several years before a reorganization plan was approved that created new Union Commerce Bank in 1938. That same year, the Union Trust Building became the Union Commerce Building.

For many older Clevelanders, the Union Commerce Building was the only name of the building they ever knew while growing up. The building carried that bank's name for 45 years until 1983 when the bank was purchased by Huntington Bank. During the years that it was owned by Union Commerce, the grand bank lobby underwent several restorations, including most notably the one architect Peter van Dijk led in 1975. Van Dijk literally saved the bank lobby from what would have been a disastrous remodelling. Additionally, in 1968 as part of the Erieview project, Union Commerce erected a five-story parking garage on the north side of Chester Avenue that is connected to the building's arcade by a tunnel under Chester Avenue.

Following the purchase of the building by Huntington Bank in 1983, it became the Huntington Building, once again taking the name of the bank that occupied its grand lobby. That tradition ended in 2011 after Huntington Bank sold the building and moved to the BP Building on Public Square. Following Huntington's departure, the building became known as the 925 Building. According to a July 31, 2015, article in the Cleveland Jewish News, it was at the time that Huntington Bank left that the building began to "hemorrhage" tenants, but it likely had been losing tenants for years before that to the newer Cleveland skyscrapers built in the last decades of the twentieth century. In 2015, a new owner acquired the 925 Building with plans to redevelop it with apartments, a hotel, and retail, banquet and office space. However, that developer's plans never materialized and, in 2017, it sold the building to Millennia Cos., a local developer which had already successfully redeveloped several other historic buildings in downtown Cleveland, including the Statler and Garfield Buildings. As of the Fall of 2019, Millennia has plans to redevelop the originally-named Union Trust Building with apartments, retail stores and possibly some office space. And, as for the new name it decided to give the building--The Centennial? Well, it's not a bad one for a grand edifice nearing its 100th birthday.


Audio

Watching the Construction Virginia Tanno McMonagle of Rickey C. Tanno Jewelers remembers weekly trips downtown with her father to watch the progress of construction on the Union Trust Building in 1923-24. Later she worked across the street in the Swetland Building and then in the arcade of what became known as the Union Commerce Building. Source: Cleveland Regional Oral History Collection
A Business Center Virginia Tanno McMonagle of Rickey C. Tanno Jewelers recalls the many large corporations, law firms, and other businesses that occupied the Union Commerce Building in the mid-20th century. Source: Cleveland Regional Oral History Collection
The Lobby's Murals Architect Peter Van Dijk describes the interior of the Union Trust Building Source: Cleveland Regional Oral History Collection
Restoring the Union Trust Building Architect Peter Van Dijk recalls the circumstances that led to the restoration of the Union Trust Building for Huntington National Bank Source: Cleveland Regional Oral History Collection

Images

The Union Trust Building
The Union Trust Building Designed by the nationally known architectural firm of Graham, Anderson, Probst and White, and built over a two period from 1922 to 1924, it was one of the largest office buildings in the United States. Its bank lobby was said to be the largest in the world. This circa 1922 sketch of the building shows its southwest corner at the intersection of Chester Avenue (left) and East Ninth Street (right). Source: Cleveland Public Library, Photograph Collection Date: ca. 1922
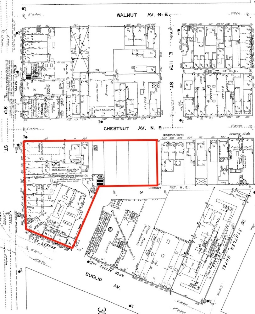
A very large footprint
A very large footprint This section of the 1912-1913 Sanborn Fire Insurance Map has been marked in red to show the future footprint of the Union Trust Building built a decade later in 1924 and the buildings near East Ninth Street and Euclid Avenue that it replaced. Source: Cleveland Public Library, Digital Map Collection
Clearing the Site
Clearing the Site As this photograph graphically shows, by July 17, 1922, the site for the new Union Trust Building had been largely cleared. Chester Avenue is to the left, and East Ninth to the right, in the picture. Source: Cleveland Public Library, Photograph Collection
Building the World's Largest Bank Lobby
Building the World's Largest Bank Lobby By December of 1922, construction of the bank lobby had begun. Source: Cleveland Public Library, Photograph Collection
Largest Lobby in the World
Largest Lobby in the World At the time the Union Trust Building was built, the bank's L-shaped lobby was said to be the largest bank lobby in the world. This photo was taken in circa 1924. Source: Cleveland Public Library, Photograph Collection
The Vault
The Vault A big bank needs a big vault. This photo of the vault in the Union Trust Building (by this time it was called the Union Commerce Building) was taken in 1946. Source: Cleveland Public Library, Photograph Collection
Teaching Children to Save
Teaching Children to Save The Union Trust Company opened the bank in its new building on May 19, 1924. There followied several days of gala events at the bank to which the public was invited, including a "children's party" on Saturday, May 24, which was attended by an estimated 50,000 people. Source: Cleveland Public Library, Photograph Collection
Putting a Spotlight on Cleveland
Putting a Spotlight on Cleveland In addition to being one of the largest office buildings in the United States, and having the largest bank lobby in the world, the Union Trust Building had many other interesting and notable features. One was a powerful spotlight that sat on the roof and was used for advertising purposes. When turned on, it was said that the 36-inch beam with 30,000,000 candlepower could be seen from 125 miles away. Union Trust donated the spotlight to Cleveland Airport (now Cleveland Hopkins International Airport) in 1930. This photograph was taken in 1924. Source: Cleveland Public Library, Photograph Collection
Radio Towers
Radio Towers Another feature of the Union Trust building were twin 125 foot radio towers on the East Ninth side of the building's roof. Stretched between the towers was a wire antenna used by radio station WJAX (and later WTAM) which had its offices on the 20th floor of the building. The installation of the towers and wire antenna may have been the origin of a long-standing, persistent legend in Cleveland that the roof of the Union Trust building was designed for dirigible (airship) landings, and had a ticket lobby and waiting room. This photograph, which shows the East Ninth side of the roof where the towers were located, was taken in 1935. Source: Cleveland Public Library, Photograph Collection.
Dispelling a Legend
Dispelling a Legend According to a Cleveland legend, the dirigible facilities designed for the Union Trust Building, were scrapped either because of "high winds" on the building's rooftop or because a company that planned to run flights from New York to Chicago, with a stop in Cleveland, went bankrupt. The facilities then became instead the dining room of the Midday Club, a private men's club, which opened in the rooftop penthouse of the building in 1924. While the story sounds plausible, the original 1922 rooftop plans (above) reveal that the rooftop penthouse was always intended to be occupied by a dining room and meeting rooms for a club. There is no mention of dirigible facilities on the rooftop plan. Source: Cleveland City Council Archives
Restorations
Restorations Over the years, the Union Trust Building has undergone several renovations, including Architect Peter van Dijk's work in 1974-1975, which won several awards. In the photo above taken in 1949, a restoration of the bank lobby, including one of the murals of famed artist Jules Guerin, is in progress. Source: Cleveland Public Library, Photograph Collection
The Union Commerce Building
The Union Commerce Building In 1938, following the 1933 failure and subsequent reorganization of Union Trust Company, Union Commerce Bank emerged as the former's successor Cleveland Bank. In the same year, the building on the northeast corner of East Ninth Street and Euclid Avenue was renamed the Union Commerce Building. It would keep that name until 1983, when Union Commerce Bank was purchased by Huntington Bank, and the building's name became the Huntington Bank Building for the next three decades. This photograph was taken in 1958. Source: Cleveland Public Library, Photograph Collection
Still a Grand Lobby
Still a Grand Lobby While the bank lobby in the Union Trust Building has not been used by a bank since Huntington Bank departed in 2011, the lobby has been maintained and has been the site of a number of parties and other functions in downtown Cleveland. This photo of the lobby, taken in 2016, is from a Veggie U Food and Wine event. Source: Flickr

Location

925 Euclid Ave, Cleveland, OH | The building is currently closed to the public until further notice.

Metadata

Jim Dubelko, “Union Trust Building: Built to Send a Message to the Banking World,” Cleveland Historical, accessed April 17, 2026, https://www.clevelandhistorical.org/index.php/items/show/876.