Shaker Town Center

Redeveloping Moreland's Historic Shopping Center

Beginning in the late 1950s, the City of Shaker Heights took a number of actions designed to keep the Moreland neighborhood's historic shopping center at the intersection of Chagrin Boulevard and Lee Road vibrant and a favored place for Shaker Heights shoppers. Among these were renaming it Shaker Town Center in 1984 and promoting it as the city's downtown shopping district. But what the city proposed to do in 1987 was perhaps the most extraordinary of all.

The history of commercial activity at the intersection of Chagrin Boulevard and Lee Road goes back more than 150 years to when the area was still part of Warrensville Township. In or about 1866, at the northeast corner of the intersection--where the Shaker Town Center Convenience Shopping Center now stands--Alonzo and Rachel Gillette opened a tavern which for decades served people traveling on the Kinsman plank road to and from Cleveland and other cities. Retail shopping stores, however, at or near the intersection, did not appear until much later.

In 1920, as a result of the annexation of East View village to Shaker Heights, the intersection, which was by this time called Kinsman-Lee Corners, became part of the Van Sweringen brothers' planned suburb. The first retail businesses located at or near the intersection were operated out of a string of houses on the north side of Kinsman Road (Chagrin Boulevard), east of Lee Road. According to a 1923 Cleveland Directory, one of the earliest of these was a grocery store owned by Czech immigrants John and Ella Buzek at 16611 Kinsman. Buzek's grocery store operated for only a few short years before the land upon which it sat was sold and the house razed to make room for a one-story brick commercial building erected on the northeast corner in 1925. The Kinlee Building, with seven store fronts facing Kinsman Road and five facing Lee Road, was home to a number of early Shaker Heights retail stores, including Shaker Heights Hardware Store, one of the city's oldest extant retail businesses.

Other commercial buildings soon followed at or near this intersection, which a Plain Dealer article in 1926 called one of the fastest growing commercial areas in Cuyahoga County. Notable among them was the Lee-Kinsman Building, erected on the northwest corner of the intersection in 1929. Located on land previously owned by the Van Sweringens, it was one of only a few of the early-era commercial buildings at Kinsman-Lee Corners that reflected the Van Sweringens' exacting standards. Two stories tall, and with a semi-circular facade that fronted both Kinsman and Lee Roads, it was designed by the same architectural firm responsible for Shaker Square.

By 1931, the area surrounding the intersection, with its rich assortment of commercial retail buildings on Kinsman and Lee Roads, was now being referred to as the Kinsman-Lee Shopping Center. For many years thereafter, it was a vibrant retail shopping place for Shaker residents, featuring such well-known past and present Shaker businesses as Heinen's grocery store, Kinsman-Lee Bowling, Shaker Theater, The Village Market, Glin's Grocery and Meat Market, Horton's Jewelers, Budin's Delicatessen, Sol's Delicatessen, Chin's Kin Lee Restaurant, Leonello's Restaurant, Gays Shoe Store, F.W. Woolworth, Lota Kelly Sportswear, Baskin-Robbins, Hough Bakery, Just Rite Cleaners, and C.C. Nicholls Sporting Goods, just to name a few. However, by the mid 1950s, its early twentieth century urban design featuring store fronts located close to the street and limited off street parking made it obsolescent. Adding to the shopping center's woes was neglected maintenance by building owners, a matter which the local merchants association complained about to the city as early as 1957. Matters only worsened when the 1960s decade arrived and the first regional shopping malls to the north and east opened, drawing Shaker shoppers out of the city. Finally adding to the city's and merchants' concerns was ongoing racial transition in the southwestern neighborhoods of the city, which was seen as contributing to white flight from the shopping center.

Concerns over the negative impact that these conditions at the Chagrin-Lee-Avalon Shopping Center--as the retail shopping area was now called following the name change of Kinsman Road in Shaker Heights in 1959--led the city government to take action, initially to protect its tax base, but later also to attempt to preserve the integrated status of its southwestern neighborhoods. One of the first actions it took was, in 1960, to purchase the deteriorating Kinlee Building, located on the northeast corner of the Chagrin-Lee intersection. The building was razed and the land sold to a developer who built Chagrin-Lee Plaza, a two and one-half story commercial and medical office building which was set back from the intersection in order to provide more off street parking for patrons. In the years that followed, the city took additional actions, including actively working with the Chagrin-Lee-Avalon merchants association to improve the the shopping center area. These collaborative efforts included streetscape improvements, additional off street parking, low cost building improvement loans, free planning services, and the "Be a Shaker Shopper" public relations program. In 1984, the city and merchants association also took the dramatic step of rebranding the entire shopping center as Shaker Town Center and promoting it as the city's downtown shopping center.

Despite all of these actions, however, by 1987 the city had concluded, based on studies by the Cuyahoga County Regional Planning Commission and various other planners consultants, and the report of the Shaker Towne Centre Citizens Advisory Committee appointed by Shaker Heights Mayor Stephen J. Alfred, that a more radical change was needed. In order for the Chagrin-Lee-Avalon Shopping Center to become competitive with nearby regional shopping centers and malls, and bring Shaker residents--particularly white residents--back to the shopping center, it would be necessary to extensively rebuild the center and provide for its ownership and operation by a single business entity. Accordingly, the city proposed to purchase ten acres of shopping center properties on the northeast corner of Chagrin Boulevard and Lee Road, raze the buildings, and sell the land to a developer to build and operate a convenience shopping center there.

Shortly after it was made public, the city's redevelopment proposal was met with opposition from a number of retail business owners, some of whom alleged that the purpose behind it was to remove African American merchants and African American shoppers from the center. Thereafter, in June 1989, when Shaker Heights city council authorized the city administration to proceed with the redevelopment proposal, several of the objecting business owners and a self-styled "tax fighter" gathered signatures and filed initiative petitions with the city, seeking to roll back local taxes and to renovate, rather than redevelop, Shaker Town Center. In the November 1989 election, both initiatives were soundly defeated, permitting the city to proceed as planned. During the period 1990-1992, all land purchases were made, the site was cleared, a developer was selected, and the new convenience shopping center was built, featuring as its anchor tenants long-time Shaker businesses, Heinen's Grocery Store and Shaker Heights Hardware Store.

The new convenience shopping center of Shaker Town Center has now operated on the northeast corner of Chagrin Boulevard and Lee Road for a quarter of a century. Changes have been made to it over the years, including the construction of a north-south street through the center to provide better access to Van Aken Boulevard as well as to the retail stores on the south side of Chagrin Boulevard. At least one scholar has criticized the redevelopment, because of its emphasis on higher-end stores designed to attract a higher economic class of shopper, as well-intentioned, but, given the close proximity of Cleveland's Mount Pleasant neighborhood to the shopping center, economically wrong-headed. A survey of local newspaper articles, however, suggests that the redevelopment of the shopping center has been largely viewed by the general public as a success and Shaker Town Center has served as a model for at least one other Cleveland suburb seeking to reinvigorate its aging retail center.

Images

Shaker Towne Centre
Shaker Towne Centre A model created in circa 1988 of the proposed new convenience center (as it was originally quaintly spelled) on the north side of Chagrin Boulevard, east of Lee Road. As constructed in the early 1990s, the convenience center was substantially similiar to this model. However, the anchor grocery store--Heinen's--was moved from its existing building on the west end of the shopping center to a new building close to Lee Road, and the center's parking lot had fewer landscaping features than shown in the model. Source: Shaker Heights Public Library, Local History Collection
Gillette Tavern
Gillette Tavern The earliest commercial development at the Chagrin-Lee intersection in Shaker Heights' Moreland neighborhood appears to have been Gillette Tavern. Census and deed records reveal that no later than by 1880 the tavern was being operated on the northeast corner of Kinsman and Lee Roads by Alonzo Gillette, the son of Alonzo and Rachel Gillette. Another source--the obituary of another child of Alonzo and Rachel Gillette-- suggested that it was first opened by Alonzo Gillette, Sr. several years before his death in 1867. The tavern appears to have been closed in the early twentieth century while the land upon which it was located was owned by the Kubach family. This photograph was taken in 1905. Source: Shaker Heights Public Library, Local History Collection
Early Commercial Development in the 1920s
Early Commercial Development in the 1920s This section of the 1920 County Plat Map shows early commercial development on Kinsman Road east of Lee Road. The Kubach family, which owned seven acres of land at the northeast corner of the intersection, sold off a number of "bowling alley" shaped lots along Kinsman Road that were soon occupied by houses out of which local retail businesses were operated. Source: Cleveland Public Library, Digital Map Collection
Kinsman-Lee Intersection,
Kinsman-Lee Intersection, Kinsman-Lee Shopping Center, 1932. This amazing aerial view reveals the commercial development around the intersection of Kinsman (Chagrin) and Lee Roads at the start of the 1930s decade. The northeast corner is shown as already well developed along both Kinsman and Lee Roads. There is not much development on other three corners, although there are indivivdual commercial buildings on the northwest and southwest corners. The south side of Kinsman Road, immediately east of Lee Road, was not commercially developed until later in this decade. Source: Cleveland State University, Michael Schwartz Library, Special Collections, and Shaker Heights Public Library, Local History Collection
Lee-Kinsman Building, 1941
Lee-Kinsman Building, 1941 This beautiful building was designed by the same architects who designed Shaker Square. It was built on the northwest corner of the Chagrin-Lee intersection in 1929, in the same general time period that Shaker Square was built. The Lee-Kinsman building (later renamed the Chagrin-Lee building) was demolished in 1990 to make room for a senior housing development. The one story addition on the north side of the building, added in 1938, was the first site of the Shaker Heights Public Library. Source: Cleveland Public Library, Digital Photograph Collection
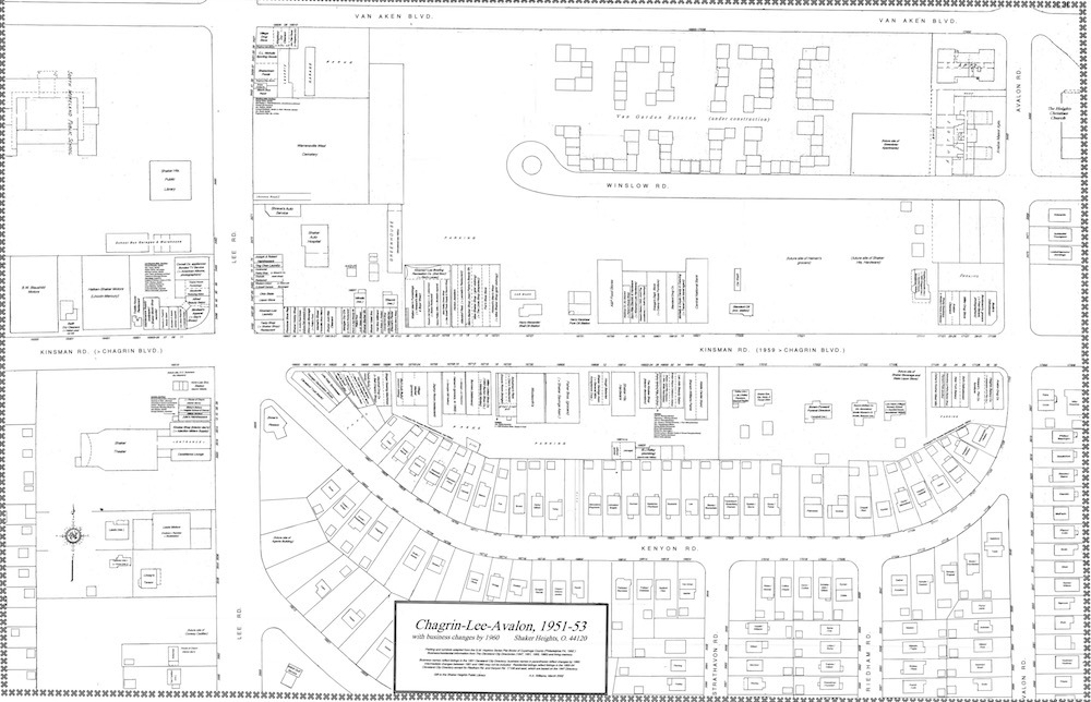
Shopping Center Sketch
Shopping Center Sketch Howard A. Williams created this sketch of the Chagrin-Lee-Avalon Shopping Center, which he presented to the Shaker Heights Public Library in 2002. It is remarkable for its quality and detail regarding the stores then operating at the center in the period 1951-1953, with changes up to 1960. View full size image at shakerlibrary.org. Source: Shaker Heights Public Library, Moreland Neighborhood History Creator: Howard A. Williams Date: 2002
Glin Medical Building
Glin Medical Building Nettie Glin stands in front of the new medical building at 16104 Kinsman Road (now Chagrin Boulevard), which she and her husband Abrahama constructed in 1950. The Glin family had also, since at least as early as 1940, operated a grocery store just to the east of the medical building at 16112 Kinsman. The grocery store has since been razed, but the remodeled medical office building is now today the home of RDL Architects. Source: Mark Wasserman
Budin's Delicatessen
Budin's Delicatessen This circa 1955 advertisement shows a group of high schoolers enjoying food and good company at Budin's, a popular delicatessen located on the northwest corner of the intersection of Chagrin Boulevard and Avalon Road, just across the street from Sol's Delicatesssen, another long-standing popular place to eat. After 40 years of operation, Budin's closed its doors in 1973. The store front then became home to other restaurants, including Paul's Delicatessen and The Proud Pickle. In the early 1990s, the building in which the restaurant was located was razed during the construction of the Shaker Town Center Convenience Center. Source: Scott McClellen
Chagrin Lee Plaza
Chagrin Lee Plaza In 1960, the City of Shaker Heights purchased the Kinlee Building on the northeast corner of Chagrin Boulevard and Lee Road, razed it, and then sold the land to a developer. Chagrin-Lee Investment Company built this two and one-half story commercial and medical office building on the site in 1962-1963. Known as Chagrin-Lee Plaza, the building was torn down some 30 years later during construction of the Shaker Town Center Convenience Shopping Center project. Source: Cleveland State University, Michael Schwartz Library, Special Collections, and Shaker Heights Public Library, Local History Collection
Bowling at Kinsman-Lee
Bowling at Kinsman-Lee One of the most popular recreational spots in the Moreland neighborhood for many years was Kinsman-Lee Bowling Lanes, later known as Rini Kinsman-Lee Bowling. The bowling alley opened in 1941, and was originally managed by "Red" Blatnic. The building in which the bowling alley was located was torn down in 1990 to make room for the Shaker Town convenience shopping center. The humorous photo above was taken in circa mid 1960s.
Fred Gerard Photography Studio
Fred Gerard Photography Studio Fred Gerard (1911-2001) was a German immigrant who came to the United States from Berlin in 1938, and then fought for his adopted country in World War II against his former homeland, winning two bronze medals. At the end of the war, Fred opened a photography studio at 17129 Kinsman Road (between Budin's Delicatessen and Avalon Cleaners), where for over 40 years Moreland families went for family, holiday and other special event professional photographs. Also active in the community, Fred served in 1962 as the first president of the Moreland Community Association. He retired, and closed his studio, in 1984. Source: Shaker Heights Public Library, Local History Collection
Streetscape Improvements
Streetscape Improvements During the 1970s, the City of Shaker Heights and the Chagrin-Lee-Avalon Merchants Association worked together to improve the shopping center primarily by renovating storefronts and constructing streetscape improvements, including sidewalks, brick pavers, planters, and new signage, as seen here in this 1975 photo. The young couple is sitting on a planter across the street from the Alfred Weis shoe store at 16716 Chagrin Boulevard The shoe store and the other shops visible in the photo were on the south side of Chagrin, east of Lee. Source: Cleveland State University, Michael Schwartz Library, Special Collections; and Shaker Heights Public Library, Local History Collection
Be a Shaker Shopper!
Be a Shaker Shopper! In 1982, the City of Shaker Heights and the Chagrin-Lee-Avalon Merchants Association started the "Be a Shaker Shopper" program, designed to induce residents of Shaker Heights to do their retail shopping at Shaker Heights shopping centers. The program was boosted by the city and the merchants association by coupon offerings and various annual events held at the shopping center, such as antique shows and sales, fashion shows, local artists displays, and Octoberfests. Source: Shaker Heights Public Library, Local History Collection
Convenience Shopping Center Construction
Convenience Shopping Center Construction In 1991, construction began on the new convenience shopping center, as shown in this photograph, on the northeast corner of the intersection of Chagrin Boulevard and Lee Road. Source: Shaker Heights Public Library, Local History Collection
New Retail Buildings at Shaker Town Center
New Retail Buildings at Shaker Town Center This photograph taken in 1993 shows some of the new retail stores along the east end of the new convenience shopping center. Later, additional changes were made to the shopping center, including the construction of a north-south street through it, which broke up the long expanse of retail buildings there and provided shoppers with better access to and from the various stores on both sides of Chagrin Boulevard and on Van Aken Boulevard. Dots, one of the retail stores seen in this photo, is still a tenant at the center. Source: Shaker Heights Public Library, Local History Collection

Location

16611 Chagrin Blvd, Cleveland, OH

Metadata

Jim Dubelko, “Shaker Town Center: Redeveloping Moreland's Historic Shopping Center,” Cleveland Historical, accessed April 17, 2026, https://www.clevelandhistorical.org/index.php/items/show/834.