Map shows the Distinction

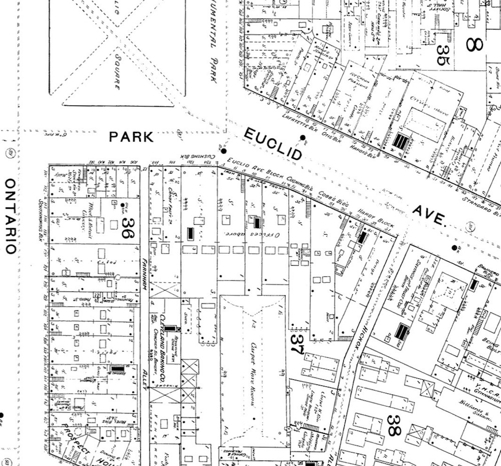
In this portion of the 1886 Ohio Sanborn Map of downtown Cleveland, both the Cushing Block and the Cushing Building are listed. The Cushing Block (lettering upside down in this image) is just below the southeast quadrant of Monumental Park (now Public Square). The Cushing Building is several buildings down Euclid, between the Euclid Avenue Block and the Cobb Building. | Source: Cleveland Public Library, Digital Map Collection
Download Original File