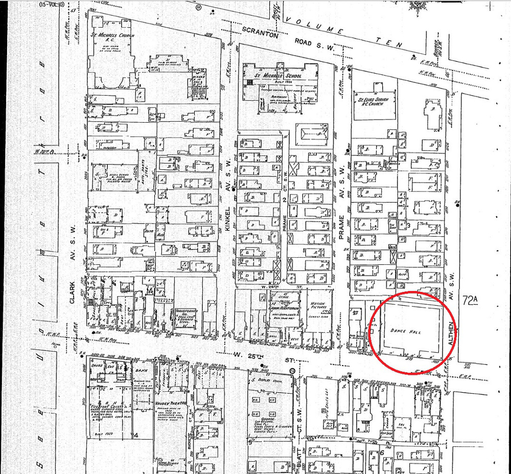
Three Blocks South of Clark Avenue

This 1953 Sanborn Insurance Map shows the location of the Aragon Ballroom on Cleveland's near west side, a neighborhood today known as Clark-Fulton. In the Ballroom's heyday in the 1930s and 1940s, the Clark Avenue Trolley line would back up weekend evenings because so many Clevelanders were taking the trolley to the Aragon.

Image courtesy of Cleveland Public Library, Digital Map Collection
Download Original File