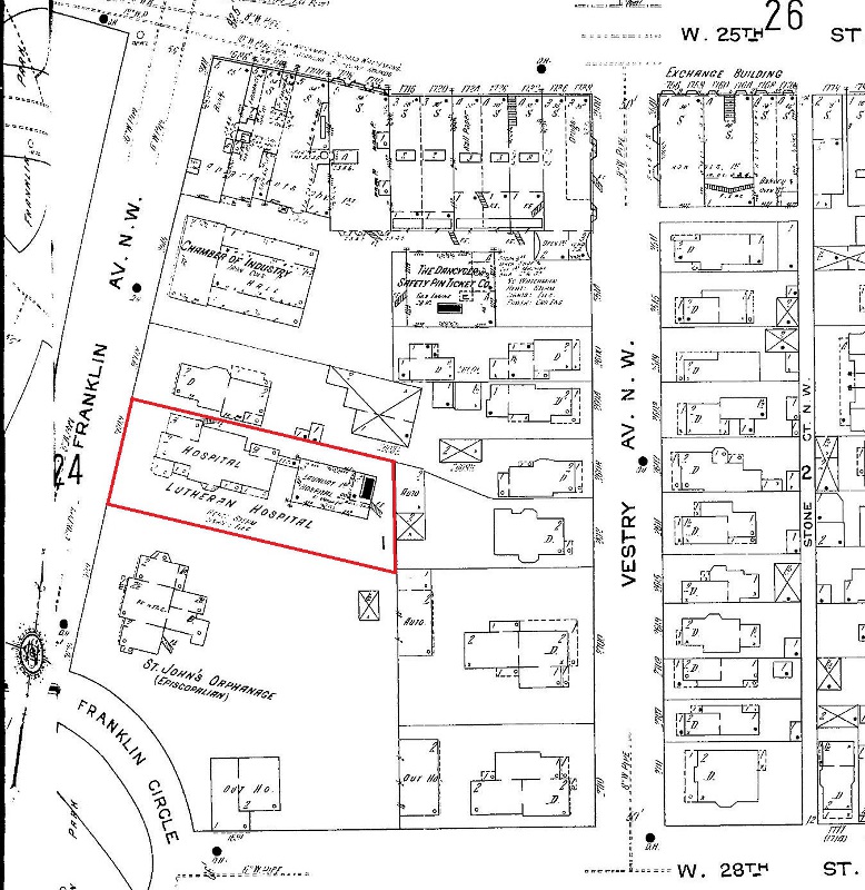
This 1912-1913 Sanborn Fire Insurance Map shows the location and footprint of the Marcus Hanna mansion (outlined in red) on Franklin Circle. Lutheran Hospital purchased the Hanna mansion in 1898 and it served as the hospital's main facility for the next 23 years. In 1921, Lutheran Hospital razed the Hanna mansion, as well as the Warmington mansion next door to it, in order to build in their place its first modern hospital building . | Date: 1913 | Source: Cleveland State University Library, Special CollectionsDownload Original File
Source
Cleveland State University Library, Special Collections